大泉町寄木戸 新築分譲住宅 群馬県邑楽郡大泉町寄木戸|1,999万円の新築一戸建て|ララハウス太田支店
| 価格 | 1,999万円 ![]() |
||||
|---|---|---|---|---|---|
| 所在地 | 群馬県邑楽郡大泉町寄木戸
この地域周辺の物件を見る |
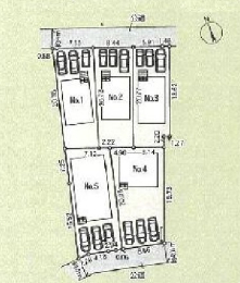
土地面積 | 151.15m² (公簿) (45.72坪) | 建物面積 | 95.58m2 |
| 築年月 | 2026年2月築 | 間取り | 4LDK (LDK17/和室5/洋室5/洋室6/洋室8) | ||
| 交通 |
東武小泉線 西小泉 徒歩42分
東武小泉線 小泉町 徒歩60分 東武小泉線 東小泉 徒歩68分 |
||||
| 特徴 |
|
|---|---|
| セールスコメント | 【POINT】 ◇防犯カメラ・TVモニター付きインターホン ICキー・複製しずらいディンプルキー ◇浴室乾燥暖房あり 冬場や梅雨時期と お役に立てます♪ ◇スーパー・コンビニ 生活にかかせないエリアも充実☆ ◇24時間換気システム カビ・ダニ・結露抑制、臭気対策に効果的 ■【0120-82-3388】へお気軽にお問い合わせください■ ■【ララハウス 太田】で検索♪ 最新情報を毎日更新中です! 弊社ホームページをご利用くださいませ☆☆ |
| 採光面 | 南西 | 構造/階数 | 木造/地上2階建 |
|---|---|---|---|
| 建ぺい率 | 60(%) | 容積率 | 200(%) |
| 駐車場 | - | 現況/引渡し | 建築中/相談 |
| 土地権利 | 所有権 | 私道負担面積 | - |
| 接道状況 | 接道: 北 4m 公道 接道: 南 4m 公道 |
用途地域 |
第二種中高層住居専用地域
|
| セットバック | - | 法令上の制限 | - |
| 地目 | 宅地 | 地勢 | |
| 建築確認番号 | 第25UDI1W建08831号 | 都市計画 | 市街化区域 |
| 備考 | - | ||
| リノベーション箇所 | リノベーション時期 | ||
| リノベーション補足 | |||
| 取引態様 | 媒介 | ||
| 情報更新日 | 2026年03月09日 | 次回更新日 | 2026年03月23日 |
| 小学校区 | 大泉町立西小学校 (群馬県邑楽郡大泉町) この学区の他の物件を見る |
中学校区 | 西中学校 (群馬県邑楽郡大泉町) この学区の他の物件を見る |
|---|
| 価格 | 万円 | ||
|---|---|---|---|
| 年利率 | % |
||
| ボーナス払い | 返済年数 | ||
| 頭金 | 直接入力する | 万円 | |

毎月のご返済額 |
ボーナス(×年2回) |
物件価格1,999万円 |
《全5棟の分譲地》大泉町寄木戸☆西小・西中エリア!セキュリティー面やあると嬉しい設備付き◎お気軽にお問い合わせください♪